Kültür ve Turizm Bakanlığı İstanbul V Numaralı Kültür Varlıklarını Koruma Bölge Kurulu, 26 Kasım 2025 tarihli toplantısında Kadıköy ilçesi Rasimpaşa Mahallesi’ndeki tescilli yapılara ilişkin önemli bir karar aldı. 210 ada, 39 ve 40 parsellerde bulunan iki ev vasıflı taşınmazla ilgili değerlendirmede, korunma alanının yeniden belirlenmesi, ilgili tapu kayıtlarına şerh işlenmesi ve bir taşınmazın tescil kaydının kaldırılması kararlaştırıldı.
1981’den Beri Tescilli İki Yapı İçin Yeni Değerlendirme
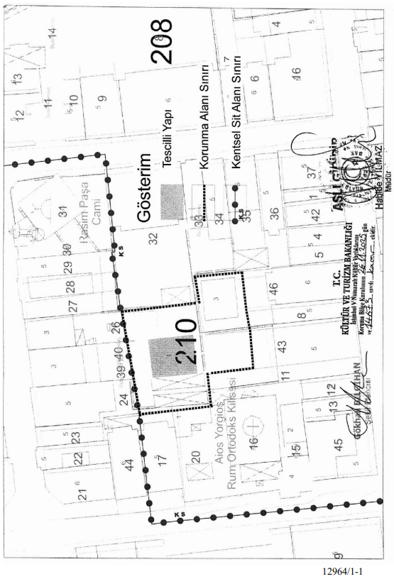
Rasimpaşa Mahallesi’nde yer alan ve GEEAYK'ın 19 Haziran 1981 tarihli kararıyla tescillenen 39 ve 40 parseldeki iki yapı, 191,75'er metrekarelik özel mülkiyetli evlerden oluşuyor. 2019 yılında Koruma Kurulu tarafından II. grup yapı olarak belirlenen bu taşınmazlar, kısmen Rasimpaşa Kentsel Sit Alanı sınırları içinde kalıyor.
Kurul, devam eden imar planları süreci ve parsellerin konumu nedeniyle tescilli yapının sit dışında kalan bölümü için yeni bir korunma alanı tanımlanması gerektiğine hükmetmişti. 19 Kasım 2025 tarihli bu karar doğrultusunda hazırlanan uzman raporu kurulun son toplantısında değerlendirildi.
Korunma Alanı 24, 26, 43 ve 46 Parsellere Yayılıyor
Kurulun yeni değerlendirmesi sonucunda, tescilli yapıların korunma alanı genişletilerek 210 ada 24, 26, 43 ve 46 numaralı parsellerin sit dışında kalan arka bölümlerini kapsayacak şekilde yeniden düzenlendi. Bu sınırlar, kurul kararına eklenen bilgi paftasında, 8 parselin arka sınırından çekilen hat doğrultusunda gösterildi.
Bu düzenleme doğrultusunda ilgili taşınmazların tapu kütüklerine “kısmen korunma alanında kalmaktadır” şerhinin işlenmesine hükmedildi.
Bir Parselin Tescil Kaydı Kaldırıldı
Kurul, ayrıca 210 ada eski 6 ve 7, yeni 46 numaralı parsel için önemli bir karar aldı. Söz konusu taşınmaz, 1988 yılında İstanbul II Numaralı Kültür ve Tabiat Varlıklarını Koruma Kurulu tarafından III. grup yapı olarak değerlendirilmişti. Ancak yapılan incelemeler ve güncel mevzuat çerçevesinde bu tescilin devamının uygun olmadığı belirlendi.
Kültür ve Tabiat Varlıklarını Koruma Yüksek Kurulu’nun 14 Eylül 2010 tarihli ve 773 sayılı ilke kararı doğrultusunda, taşınmazın tescil kaydının kaldırılmasına ve kültür varlığı olduğuna dair tapu şerhinin terkin edilmesine karar verildi. Böylece parsel, koruma statüsünden çıkarılmış oldu.
Arşiv Belgeleri ve Rölöveler Kurul Kayıtlarına Alınıyor
Tescil kaydının kaldırılmasına rağmen, yapıya ilişkin mevcut rölöve, fotoğraf ve diğer teknik belgelerin kurul arşivine alınması kararlaştırıldı. Bu uygulama, taşınmazın tarihsel sürecine ilişkin veri kaybının önlenmesi amacıyla yapılıyor.
İmar Mevzuatına Göre Uygulama Yapılabilecek
Tescili kaldırılan 46 parselde, artık güncel imar mevzuatına göre uygulama yapılabilecek. Kurul, bu düzenlemenin Rasimpaşa’daki kentsel planlama süreciyle uyumlu olduğunu belirtti. Böylece parsel üzerindeki yapılaşma veya düzenlemeler, koruma kurulu iznine gerek olmaksızın belediyenin imar kuralları çerçevesinde yürütülebilecek.
Rasimpaşa Kentsel Sit Alanı Sürecine Etki Ediyor
Rasimpaşa Mahallesi’nde uzun yıllardır süren koruma planı çalışmaları, çeşitli düzeltmeler ve itiraz süreçleriyle devam ediyor. 1/5000 ölçekli koruma amaçlı nazım imar planı 2017 yılında yürürlüğe girmiş, 1/1000 ölçekli uygulama imar planı ise 2025 itibarıyla itiraz inceleme aşamasına gelmişti.
Kurulun aldığı son karar, hem sit alanı içinde kalan tescilli yapıların korunma koşullarını netleştiriyor hem de sit dışında kalan bölgelerdeki uygulamalara yön veriyor.
Kurul Kararı Bölgedeki Planlamayı Şekillendirecek
İstanbul V Numaralı Kültür Varlıklarını Koruma Bölge Kurulu'nun bu kararı, Rasimpaşa Mahallesi’nde devam eden planlama, yapılaşma ve koruma süreçleri açısından belirleyici nitelik taşıyor. Hem parsel bazlı yeni koruma sınırları hem de bir taşınmazın koruma statüsünden çıkarılması, bölgedeki mülk sahipleri ve planlama otoriteleri için önemli bir referans oluşturuyor.
Kurulun kararı doğrultusunda ilgili tapu müdürlüklerince gerekli şerh işlemleri yapılacak ve yeni koruma sınırları resmi kayıtlara işlenecek.

Yorumlar
Kalan Karakter: