Kültür ve Turizm Bakanlığı Çanakkale Kültür Varlıklarını Koruma Bölge Kurulu’nun 02 Ekim 2025 tarihli 11599 sayılı kararıyla, Lapseki ilçesi Umurbey beldesinde yer alan Perkote Antik Kenti ve çevresindeki alanlar 3. Derece Arkeolojik Sit Alanı olarak tescil edildi.
Kurul, bölgede yürütülen Taşınmaz Ulusal Envanter Sistemi (TUES) Projesi kapsamındaki tespit çalışmalarının ardından aldığı kararla, Umurbey’in arkeolojik ve kültürel mirasının korunması yönünde önemli bir adım attı.
Antik Liman ve Höyük Alanı Tescillendi
Kurul kararında, Umurbey sahilinde Çatalazmak Mevkii’nde yer alan antik liman ve höyük alanlarının, daha önce 1. Derece Arkeolojik Sit olarak belirlenen bölgelerle ilişkili olduğu vurgulandı.
Yapılan incelemeler sonucunda, 24 Haziran 2025 tarihli 11252 sayılı karar doğrultusunda hazırlanan 1/5000 ölçekli sit haritasında koordinatları belirtilen alanların, TUES Projesi kapsamında 3. Derece Arkeolojik Sit Alanı olarak tesciline uygun bulunduğu ifade edildi.
Kurul, söz konusu kararın, alanın korunması ve sürdürülebilir biçimde gelecek kuşaklara aktarılmasına yönelik önemli bir aşama olduğunu belirtti.
Korunması Gerekli Taşınmaz Kültür Varlıkları Belirlendi
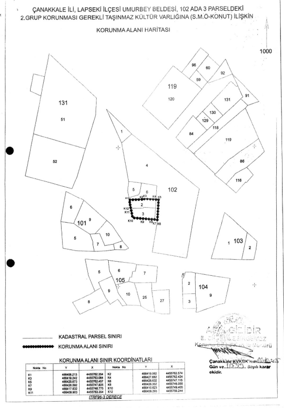
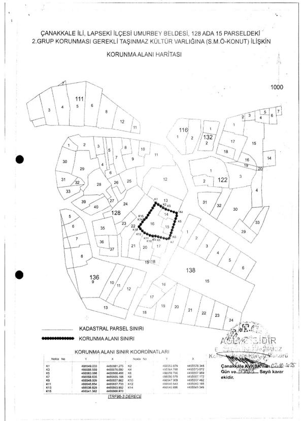
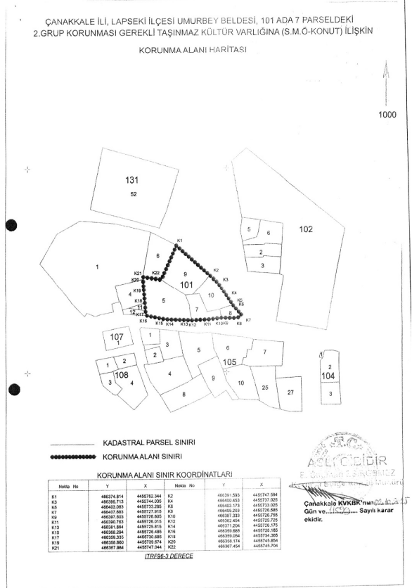
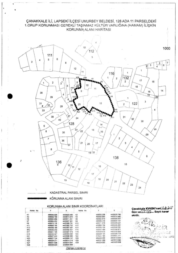
Kararda, Liste-1 ve Liste-2’de yer alan taşınmazların, 2863 sayılı Kültür ve Tabiat Varlıklarını Koruma Kanunu’nun 6. ve 7. maddeleri kapsamında korunması gerekli kültür varlıkları niteliklerini taşıdığına dikkat çekildi.
Bu taşınmazların, mevcut tescil fişleriyle birlikte koruma, yaşatma ve sürdürülebilirlik ilkeleri doğrultusunda değerlendirileceği, rölöve, restitüsyon ve restorasyon projelerinin Kurula iletilmesi gerektiği kaydedildi.
Ayrıca, Liste-3’te yer alan ve korunma alanı belirlenmemiş tescilli taşınmazlar için hazırlanacak korunma alanı haritalarının uygun bulunduğu, bu bölgelerde yapılacak tüm fiziki müdahale ve imar işlemleri öncesinde Kurul izni alınması gerektiği vurgulandı.
Hüdavendigar Camii İçin Yeni İnceleme Süreci
Kurul kararında, 143 ada, 1 parselde yer alan Hüdavendigar Camii’ne yönelik değerlendirmeler de yer aldı.
Edirne Kültür ve Tabiat Varlıklarını Koruma Kurulu’nun 13 Haziran 1990 tarihli ve 685 sayılı kararına rağmen bugüne kadar Kurula herhangi bir proje sunulmadığı tespit edildi.
Ayrıca, caminin eski konumunda ancak daha büyük ölçülerde yeniden inşa edildiği, bu nedenle Vakıflar Bölge Müdürlüğü tarafından eski camiden taşınan yapı elemanlarının mevcut olup olmadığına dair bilgi ve belgelerin istenmesine karar verildi.
Bu kapsamda, Vakıflar Genel Müdürlüğü’nün 29 Mayıs 1990 tarihli ve 90 sayılı yazısındaki görüşün geçerli olup olmadığının belirlenmesi için ek açıklamaların Kurula iletilmesi istendi.
Caminin nihai tescil durumu ve korunma alanı, bu belgelerin değerlendirilmesinin ardından belirlenecek.
Mezarlık Alanında Defin İşlemleri Sürecek
Kurul, ayrıca 496 ada, 1 parseldeki mezarlık alanlarında defin işlemlerinin devamında herhangi bir sakınca bulunmadığını karara bağladı.
Böylece bölgede dini ritüellerin ve mevcut kullanımın kesintisiz sürdürülmesi yönünde karar alınmış oldu.
Balıkesir Vakıflar Bölge Müdürlüğü’nün Tescil Fişleri Onaylandı
Karar kapsamında, Balıkesir Vakıflar Bölge Müdürlüğü tarafından hazırlanan tescilli taşınmaz kültür varlıklarına ilişkin tescil fişleri de uygun bulundu.
Bu fişlerin, Umurbey ve çevresindeki tescilli yapıların resmî koruma statülerinin güçlendirilmesi sürecinde referans belge olarak kullanılacağı belirtildi.
Umurbey’de Kültürel Mirasın Korunmasında Yeni Dönem
Son alınan bu karar, Umurbey Beldesi ve çevresinde kültürel mirasın korunması açısından yeni bir dönemin başlangıcı olarak değerlendiriliyor.
Kurul kararları doğrultusunda, arkeolojik sit alanı olarak tescillenen bölgelerde bilimsel kazı, belgeleme, restorasyon ve koruma çalışmalarının önümüzdeki süreçte hız kazanması bekleniyor.
Kültür ve Turizm Bakanlığı’nın yürüttüğü TUES Projesi, Türkiye genelinde taşınmaz kültür varlıklarının dijital ortamda kayıt altına alınmasını ve koruma süreçlerinin izlenebilir hale getirilmesini amaçlıyor.
Bu çerçevede, Umurbey’deki Perkote Antik Kenti’nin tescili, hem bölgenin tarihi kimliğinin korunması hem de kültürel turizmin gelişimine katkı sağlaması açısından önemli bir adım olarak öne çıkıyor.











Yorumlar
Kalan Karakter: