Kültür ve Turizm Bakanlığına bağlı Ankara Kültür Varlıklarını Koruma Bölge Kurulu, Çorum’un Ortaköy ilçesi Aşdağul Beldesi sınırları içerisinde yer alan Özdere Höyüğü hakkında önemli bir karar aldı. Kurulun 28 Kasım 2025 tarihli ve 211/6025 sayılı kararı ile höyük, I. Derece Arkeolojik Sit Alanı olarak tescil edildi.
Kararla birlikte höyüğün sınırları, kullanım koşulları ve geçiş dönemi koruma esasları da resmiyet kazandı.
Tescil Süreci Kurum Görüşleriyle Tamamlandı
Tescil sürecine ilişkin olarak, Çorum Valiliği İl Kültür ve Turizm Müdürlüğü ve Çorum Müze Müdürlüğü tarafından 4 Kasım 2025 tarihinde hazırlanan resmi yazı Ankara Kültür Varlıklarını Koruma Bölge Kurulu’na iletildi. Süreç kapsamında çeşitli kamu kurum ve kuruluşlarından görüş alındı.
Kurul Müdürlüğü uzmanlarınca hazırlanan 27 Kasım 2025 tarihli teknik rapor ve ekleri toplantıda okunarak değerlendirildi. İncelemeler sonucunda, höyüğün tesciline ilişkin gelen görüşlerde olumsuz bir değerlendirme bulunmadığı tespit edildi.
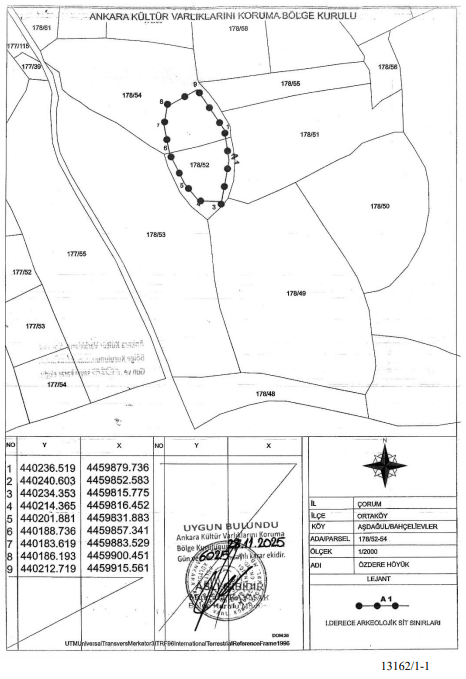
Özdere Höyüğü’nün Sınırları Netleşti
Kurul kararıyla birlikte, höyüğün 178 ada 52 ve 54 numaralı parseller üzerinde yer aldığı ve hem kamu hem de özel mülkiyet alanlarını kapsadığı belirlendi. Höyüğün sınırları, karar eki 1/2000 ölçekli kadastral harita üzerinde açık biçimde gösterildi ve belirtilen koordinatlar esas alındı.
Alan, resmi olarak “Özdere Höyüğü” adıyla tescil edilerek koruma altına alındı ve tescil fişi onaylandı.
I. Derece Arkeolojik Sit Statüsü Verildi
2863 sayılı Kültür ve Tabiat Varlıklarını Koruma Kanunu’nun 17’nci maddesi kapsamında yapılan değerlendirme sonucunda alanın I. Derece Arkeolojik Sit olarak korunmasına karar verildi. Bu statüyle birlikte alanda uygulanacak koruma ve kullanma şartları da ayrıntılı olarak belirlendi.
Yapılaşma ve Kazı Faaliyetlerine Sınırlama
Kurul kararına göre, Özdere Höyüğü sınırları içerisinde yer alan alanlar aynı şekilde korunacak alanlar olarak kabul edildi. Bu kapsamda:
Alan içerisinde kesinlikle hiçbir yapılaşmaya izin verilmeyecek,
İmar planlarında alan “aynen korunacak sit alanı” olarak gösterilecek,
Bilimsel amaçlı kazılar dışında herhangi bir kazı faaliyeti yürütülemeyecek.
Altyapı Çalışmaları Kurul Onayına Bağlandı
Zorunlu durumlarda yapılması gereken altyapı çalışmaları için müze müdürlüğünün ve varsa kazı başkanının görüşü alınarak konunun koruma kurulunda değerlendirilmesine karar verildi. İzinsiz hiçbir altyapı uygulamasına izin verilmeyecek.
Tarımsal Faaliyetlere Sınırlı İzin
Karar doğrultusunda;
Yeni tarım alanlarının açılması yasaklandı,
Yalnızca sınırlı ve mevsimlik tarımsal faaliyetlerin sürdürülmesine izin verildi,
Koruma kurullarınca uygun görülmesi halinde seracılık faaliyetlerine devam edilebileceği belirtildi.
Doğal Dokuya Müdahale Yasaklandı
Höyük ve tümülüs alanlarında;
Toprağın sürülmesine dayalı tarımsal faaliyetler,
Yeni ağaçlandırma çalışmaları,
Taş, toprak, kum ve benzeri malzemelerin alınması,
Maden, taş, kum, mermer ve benzeri ocakların açılması,
Çöp, sanayi atığı ve benzeri dökümler kesin olarak yasaklandı.
Ziyaret ve Düzenlemeler İzin Şartına Bağlı
Alan içerisinde bulunan ören yerlerinde; gezi yolları, otopark, WC, bilet gişesi ve bekçi kulübeleri gibi düzenlemeler koruma kurulundan izin alınması şartıyla yapılabilecek.
Mezarlıklar ve Parsel İşlemleri Düzenlendi
Alan içinde yer alan ve halen kullanılan umuma açık mezarlıklarda yalnızca defin işlemleri yapılabilecek. Taşınmaz kültür varlıklarının niteliğini etkilememek şartıyla, ilgili koruma kurulunun izniyle tevhit ve ifraz işlemlerine de izin verilebilecek.
Güvenlik Önlemleri Yerel İdarelere Ait
Kurul kararında, Özdere Höyüğü’nün korunmasına yönelik gerekli güvenlik önlemlerinin ilgili yerel idarelerce alınması hükme bağlandı.

Yorumlar
Kalan Karakter: