İzmir 2 Numaralı Kültür Varlıklarını Koruma Bölge Kurulu, 2025 yılı içerisinde Manisa Akhisar ve İzmir Bergama ilçelerinde yer alan taşınmazlar için önemli koruma kararları aldı. Kurul, 3. derece arkeolojik sit alanı olarak belirlenen bölgelerdeki yapıları ve arazileri, 2863 sayılı Kültür ve Tabiat Varlıklarını Koruma Kanunu kapsamında tescil ederek koruma altına aldı.
Manisa Akhisar: Thysteria Antik Kenti Alanında Koruma Kararı
Manisa ili, Akhisar ilçesi, İnönü Mahallesi sınırları içerisinde, 357 ada 10 parselde şahıs mülkiyetinde bulunan yapı, Thysteria Antik Kenti’nin 3. derece arkeolojik sit alanı içerisinde yer alıyor.
Yapının tescil talebi üzerine İzmir 2 Numaralı Kurul, uzun incelemeler ve uzman raporları doğrultusunda taşınmazın 2863 sayılı kanunun 6. maddesinde belirtilen kriterleri taşıdığı sonucuna vardı. Bu nedenle yapı, korunması gerekli taşınmaz kültür varlığı olarak tescil edildi.
Kurul kararına göre:
Taşınmazın yapı grubu 2. grup olarak belirlendi.
Tapuya tescil şerhi eklenecek.
Kurul izni olmadan taşınmazda herhangi bir fiziki veya inşai müdahalede bulunulamayacak.
Yapıya ilişkin rölöve, restitüsyon ve restorasyon projeleri hazırlanıp Kurul’a iletilecek.
Bu karar, Thysteria Antik Kenti alanının korunmasına yönelik önemli bir adım olarak değerlendiriliyor.
Bergama Göçbeyli: Arkeolojik Yerleşim Alanı Tescili
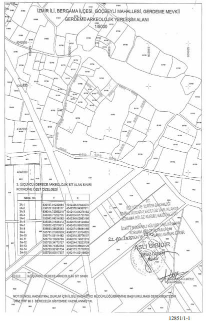
İzmir ili, Bergama ilçesi, Göçbeyli Mahallesi, Gerdeme Mevkiinde yer alan tarla niteliğindeki ve şahıs mülkiyetindeki parseller (1750–1765, 1745–1748), yapılan yüzey incelemesi sonucu arkeolojik değer taşıdığı belirlendi.
Kurul, bu alanı “Gerdeme Arkeolojik Yerleşim Alanı” adıyla 3. derece arkeolojik sit alanı olarak tescil etti.
Karar kapsamında:
Alanın sınırları, 1/5000 ölçekli karar eki harita üzerinde gösterildi.
Tescil fişleri hazırlanarak Kurul tarafından uygun bulundu.
Bu düzenleme, Bergama’daki arkeolojik değerlerin korunması ve bölge planlamasında koruma esaslarının dikkate alınmasını güvence altına alıyor.
Koruma Alanlarının Önemi ve Gelecek Uygulamalar
Her iki karar da, kültürel mirasın korunması ve gelecek nesillere aktarılması açısından kritik bir adım olarak öne çıkıyor. 3. derece arkeolojik sit alanı statüsü, bölgedeki yapılarda ve arazilerde yapılacak her türlü inşai, fiziki veya arazi müdahalesinin Kurul iznine tabi olmasını zorunlu kılıyor.
Kurulun aldığı kararlar sayesinde:
Arkeolojik değerler güvence altına alınacak.
İzinsiz yapılaşma ve müdahalelerin önüne geçilecek.
Tescilli alanlarda restorasyon ve rölöve projeleri profesyonel denetim altında yürütülecek.
Manisa ve Bergama’da Kültür Mirası Koruma Adımları Sürdürülüyor
İzmir 2 Numaralı Kültür Varlıklarını Koruma Bölge Kurulu’nun kararları, Manisa Akhisar’da Thysteria Antik Kenti ve Bergama Göçbeyli’deki arkeolojik alanları koruma altına alarak bölgesel kültür mirasının gelecek kuşaklara aktarılmasını sağlayacak.

Yorumlar
Kalan Karakter: