Kültür ve Turizm Bakanlığı’na bağlı Adana Kültür Varlıklarını Koruma Bölge Kurulu, Mersin’in Tarsus ilçesinde yer alan Hasanağa Höyüğü’nde önemli bir karara imza attı. 22 Ekim 2025 tarihli toplantıda alınan kararla, hazineye ait 673 parselde yapılan sit irdelemesi sonucunda yeni buluntular tespit edildi ve Hasanağa Höyüğü 1. Derece Arkeolojik Sit Alanı'nın sınırları revize edildi.
Bölge Kurulu uzmanlarının hazırladığı kapsamlı raporlar doğrultusunda güncellenen sınırlar, höyüğün kültürel mirasına dair yeni bilgiler sağlarken, koruma altındaki alanın genişletilmesi yönünde adımlar atıldı.
Kurulda Çok Sayıda Kurum Görüşü Değerlendirildi
Toplantıda Mersin Büyükşehir Belediyesi, Tarsus Belediyesi, DSİ 6. Bölge Müdürlüğü, Maden ve Petrol İşleri Genel Müdürlüğü, Karayolları 5. Bölge Müdürlüğü, Mersin Orman Bölge Müdürlüğü ve Adana Kültür Varlıklarını Koruma Bölge Kurulu Müdürlüğü gibi kurumların görüşleri tek tek değerlendirildi.
Kurumların ilettiği yazışmalar, saha değerlendirmeleri ve uzman incelemeleri bölgenin Arkeolojik Sit niteliğinin yeniden ele alınmasını gerektirecek önemli verilere işaret etti.
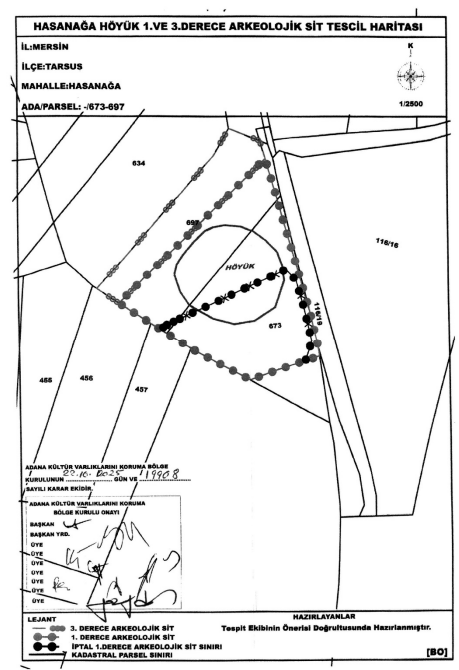
673 ve 697 Parsellerde Kültür Varlığı Niteliğinde Buluntular
Sit irdelemesi kapsamında hazine mülkiyetindeki 673 parselin tamamı ile bağlantılı 697 parselde, taşınır kültür varlığı niteliği taşıyan önemli buluntular tespit edildi. Uzman raporlarına göre bölgede:
Çatı kiremiti parçaları
Seramik buluntular
Kesme blok taşlar
Değirmen taşı
gibi arkeolojik açıdan değer taşıyan materyaller bulundu. Bu unsurlar, alanın tarihsel önemini güçlendirirken, korunması gereken arkeolojik birikimin daha geniş bir alana yayılmış olduğunu ortaya koydu.
Bu bulgular, höyüğün yerleşim katmanları ve kültürel sürekliliği hakkında yeni değerlendirmelerin yapılmasının önünü açıyor. Kurul, bu tespitlerin ardından mevcut sit sınırlarının güncellenmesi gerektiği sonucuna vardı.
Sit Alanı Sınırları Resmen Revize Edildi
Kurulun 22.10.2025 tarihli ve 19908 numaralı kararıyla Hasanağa Höyüğü Arkeolojik Sit Alanı sınırları, toplantı ekinde yer alan güncel sit haritası doğrultusunda revize edildi. Yeni sınırlar, arkeolojik buluntuların yoğunlaştığı bölgeleri kapsayacak şekilde genişletildi.
Ayrıca karar kapsamında:
Sit fişi
Sit alanı haritası
Geçiş Dönemi Koruma Koşulları ve Kullanım Şartları
da kurul tarafından uygun bulundu.
Bu adım, bölgede yapılacak çalışmaları sıkı kurallarla sınırlandıracak ve kültürel mirasın korunmasını güvence altına alacak.
Molozların ve Ağaçların Kaldırılması İçin Talimat
Kurul, 673 parselde yer alan ve geçmişte alınan kararla kaldırılması istenen fakat alanda bulunmaya devam eden ağaçlar ile ne zaman döküldüğü belirlenemeyen molozlara da değindi.
Betonarme ve tuğla nitelikli bu molozların sit alanında bulunması uygun görülmediğinden, ilgili idareye bu malzemelerin alandan müze denetiminde kaldırılması yönünde talimat verildi.
Temizleme çalışmalarının ardından yapılan işlemlerin sonucu Kurul Müdürlüğü’ne yazılı olarak bildirilecek.
Hasanağa Höyüğü’nün Arkeolojik Önemi Güçlendi
Hasanağa Höyüğü, Tarsus’un en önemli arkeolojik alanlarından biri olarak biliniyor. 2011 yılında 1. Derece Arkeolojik Sit Alanı olarak tescillenen bölge, çok sayıda uygarlığın izlerini barındırıyor. Yeni buluntular ise höyüğün tarihsel derinliği ve arkeolojik potansiyelinin önceki tahminlerin de ötesinde olduğunu gösteriyor.
Çatı kiremitleri ve seramik parçaları, bölgedeki yerleşimin mimari özellikleri hakkında ipuçları sunarken; değirmen taşı gibi buluntular burada günlük yaşama dair önemli detaylar barındırıyor.


Yorumlar
Kalan Karakter: