Kültür ve Turizm Bakanlığı’na bağlı Adana Kültür Varlıklarını Koruma Bölge Kurulu, Kozan ilçesi Alapınar Mahallesi’nde tespit edilen yapı kalıntısı için önemli bir karar aldı. 23 Ekim 2025 tarihli toplantıda alınan karar doğrultusunda, 0 ada 77 ve 78 parseller ile tescil harici alanda bulunan yapı kalıntısı, 2863 sayılı Kanun’un 6. maddesine göre “korunması gerekli taşınmaz kültür varlığı” olarak tescil edildi. Yapının korunma grubunun 1. grup olarak belirlenmesi, söz konusu alanın yüksek düzeyde kültürel ve tarihi öneme sahip olduğunu ortaya koyuyor.
Adana’nın köklü geçmişine ışık tutan bu tescil kararı, bölgede yeni araştırmalar ve koruma çalışmaları yapılmasının da önünü açacak nitelikte.
Kurul Toplantısında Tüm Kurum Görüşleri Değerlendirildi
23.10.2025 tarihli ve 19941 numaralı karara göre süreç, çok yönlü kurum görüşleriyle ele alındı. Adana Kültür Varlıklarını Koruma Bölge Kurulu Müdürlüğünün 02.09.2025 tarihli değerlendirmesi başta olmak üzere, Karayolları 5. Bölge Müdürlüğü, Devlet Su İşleri 6. Bölge Müdürlüğü, Tarım ve Orman Müdürlüğü, Maden ve Petrol İşleri Genel Müdürlüğü ile Çevre, Şehircilik ve İklim Değişikliği İl Müdürlüğü’nün yazıları kurul tarafından incelendi.
Ayrıca Adana Büyükşehir Belediyesi Kentsel Dönüşüm Dairesi Başkanlığının görüşleri de karar dosyasına dahil edildi. Tüm yazışmalar, değerlendirme notları ve uzman raporları kurul üyeleri tarafından tek tek okunarak karara temel oluşturdu.
Uzmanların Yerinde İnceleme Raporu Belirleyici Oldu
Koruma Kurulu uzmanlarının 21.10.2025 tarihli ve 3781472 sayılı yerinde inceleme raporu, tescil sürecinin en kritik unsuru olarak öne çıktı. Raporda, Kozan Alapınar Mahallesi’ndeki yapı kalıntısının mimari özellikleri, yapım tekniği, malzeme türü ve bulunduğu parseldeki konumu detaylı şekilde analiz edildi.
Uzmanlar, yapı kalıntısının bölgenin tarihsel dokusu açısından önemli bir kültür değeri taşıdığı, arkeolojik ve mimari nitelikleri nedeniyle korunması gerektiği yönünde görüş bildirdi. Bu bulgular, kurulun tescil kararı vermesinde belirleyici rol oynadı.
Yapı 1. Grup Olarak Tescillendi: En Üst Koruma Statüsü
Kurul kararıyla yapı kalıntısı 1. grup korunması gerekli taşınmaz kültür varlığı olarak sınıflandırıldı. Bu statü, taşınmazın en üst seviyede korunacak kültür varlıkları arasında yer aldığı anlamına geliyor. 1. grup kültür varlıkları, taşıdığı özgün değerler nedeniyle restorasyon, onarım ve kullanım bakımından en sıkı koruma tedbirlerine tabi oluyor.
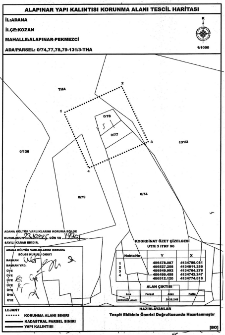
Karar kapsamında ayrıca, yapı kalıntısının korunma alanını gösteren tescil haritası ve anıt fişi de kurul tarafından uygun bulundu. Bu belgeler, koruma alanının resmi olarak belirlenmesi ve gelecekteki düzenlemelerin bu sınırlar gözetilerek yapılması açısından büyük önem taşıyor.
Tescil Haritası Kabul Edildi: Koruma Süreci Resmen Başladı
Kararla birlikte, parsel sınırlarını ve yapı kalıntısının etki alanını gösteren tescil haritası da onaylandı. Böylece kültür varlığının korunmasına yönelik hukuki süreç tamamlanmış oldu. Haritanın kabul edilmesi, ileride yapılacak planlama, yapılaşma ya da tarımsal faaliyetlerde bu alanın dikkate alınmasını zorunlu hale getiriyor.
Ayrıca anıt fişi de hazırlanarak dosyaya eklendi. Bu fiş, taşınmaz kültür varlığının teknik, mimari ve tarihsel özelliklerini sistematik biçimde kayıt altına alarak resmi koruma arşivine kazandırıyor.
Kozan Bölgesinde Yeni Bir Kültür Değeri Daha Gün Yüzüne Çıktı
Kozan, Adana’nın tarih boyunca birçok medeniyete ev sahipliği yapmış ilçelerinden biri olarak biliniyor. Son yıllarda bölgede yapılan sondaj çalışmaları, yüzey araştırmaları ve kurum incelemeleri sonucunda çok sayıda yeni kültür varlığı gün yüzüne çıkarıldı. Alapınar Mahallesi’ndeki bu yeni tescil ise bölgenin tarihi katmanlarını ortaya koyması bakımından önemli bir adım daha oldu.
Koruma Kurulu’nun aldığı karar sayesinde yapı kalıntısı artık yasal koruma altında olacak ve izinsiz müdahaleler kesin olarak engellenecek.

Yorumlar
Kalan Karakter: